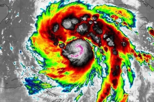
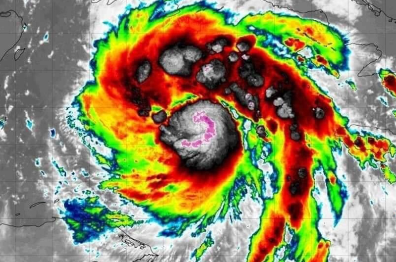
La COEPROC informa que, con base en el Centro Nacional de Huracanes de Miami, Florida, Estados Unidos, y el Servicio Meteorológico Nacional, esta madrugada la tormenta tropical “Ian” del mar Caribe, evolucionó en huracán categoría “uno” de la escala Saffir Simpson, se localizó a las 04:00 horas aproximadamente a 590 kilómetros al este de las costas de Quintana Roo; con vientos máximos sostenidos cerca del centro de 120 km/h, y rachas de 150 km/h, presenta movimiento al noroeste a razón de 22 km/h, por su evolución y trayectoria se mantiene en vigilancia.
La aproximación de “Ian” incrementará el flujo de aire húmedo del Caribe hacia la costa de la Península de Yucatán, generando lluvias puntuales muy fuertes en el Estado, así como rachas de viento de 60-70 km/h y oleaje de dos a tres metros de altura sobre las costas de Quintana Roo.
El Centro Nacional de Huracanes pronostica que el sistema ciclónico puede evolucionar a un huracán de mayor categoría durante este lunes o martes, mantiene su trayectoria hacia el occidente de Cuba, sus bandas nubosas estarna influenciando a el Estado y generaran lluvias.






